KO BIDA NOK
Thailand
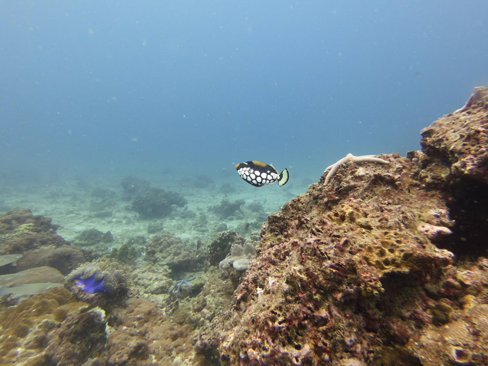
Ko Bida Nok is a beautiful dive site on the Phi Phi Islands. The bay is demarcated with small yellow buoys and up to 6 to 12 meters deep. Black tip reef sharks swim around this area. If you stay still around 3 meters you have a good chance of seeing them. Ko Bida Nok is also home to yellow snappers, rays, turtles, cuttlefish, sea snakes and much more. Still, the big attraction of Ko Bida Nok remains the blacktip reef shark.
Particulars
Ko Bida Nok is a small island south of the Phi Phi Islands. The location can be reached in half an hour by boat from the port in the main island, Ton Sai Beach.
Warnings
Ko Bida Nok is suitable for all levels, but beware of strong currents outside of the bay.
KO BIDA NOK Features
- Nicknames
- Shark Point, Shark Bay
- Address
- Ko Bida Nok, Phi Phi Islands, Thailand
- Parking
- At boat charter
- Distance
- 30 min.
- Suitable for
- All levels (beginners under supervision)
- Permit
- N.v.t. / NA
- Access
- Book boat dive at one of the dive schools, free access
- Facilities
- Boat dive facilities
- Water
- Salt, warm
- Kind of dive
- Boat dive
- Current
- Medium
- Visibility
- 5 - 10 m.
- Average visibility
- 10 m.
- Depth
- 12 m.
- Bottom
- zand en rotsen
- Life
- Blacktip reef shark
- Other recreation
- Boating, yachting





