WATAMULA
Curaçao
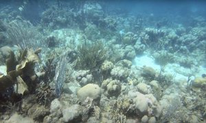
Watamula is the most western dive site on the island, located between Westpunt and Noordpunt. Groupers, lobsters and turtles roam around in this site while seahorses and rays rest on the sandy bottom. Watamula also has a number of 'cleaning stations', which attract many large and small fish. The name Watamula is derived from the Dutch word 'watermill' and not without reason. Because three currents converge here, it's impossible to predict what kind of dive you will make and how long it will last. Watamula is also a tourist attraction. Near the entry point there is a large round hole in the ground, where the seawater splashes up through an underground tunnel.
Particulars
Enter the water of Watamula with your local guide of book a charter.
Warnings
Diving at Watamula is only possible under calm weather conditions and always with a local guide. There are several way to dive at Watamula, which are all different. Strong currents that sometimes change in direction during your dive. Don't enter the water
WATAMULA Features
- Nicknames
- Watamula Reef
- Address
- Curaçao
- Parking
- At charter
- Distance
- 10 min.
- Suitable for
- Experienced divers with guide
- Permit
- N.v.t. / NA
- Access
- Free access
- Facilities
- None
- Water
- Salt
- Kind of dive
- Shore dive, boat dive
- Current
- Strong
- Visibility
- 20 - 30 m.
- Average visibility
- 25 m.
- Depth
- 20 m.
- Bottom
- koraal
- Life
- Crab, grouper, grouper, lobster, moray, turtle
- Other recreation
- Boating, yachting
- Emergency
- 912
Current weather conditions
Spots nearby
Playa gipy (0,24km)
Watamula zuid (1,09km)
Elvins plane wreck (1,42km)
North point (1,56km)
Alice in wonderland (1,65km)
Playa piscado (2,33km)
Playa forti (2,67km)
Korta pe (3,22km)
Playa abou (grote knip) (4,37km)
Cave of love (5,01km)
Kenepa (kleine knip) (5,45km)






